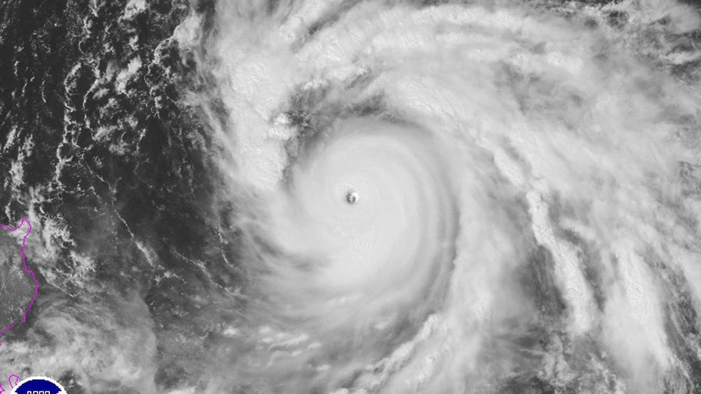
Vuoden voimakkain taifuuni, Sanba, liikkuu Tyynellämerellä kohti Etelä-Korean rannikkoa.
Sanban keskuksessa tuulennopeus on jopa 190 kilometriä tunnissa. Taifuunin keskuksen alla aallot saattavat nousta 15 metrin korkuisiksi.
Taifuuneilla ei ole vastaavaa luokitusta kuin hurrikaaneilla, mutta hurrikaanien asteikossa Sanba vastaa kolmosta. Hurrikaanit luokitellaan asteikolla yhdestä viiteen.
Taifuunin arvioidaan saavuttavan Etelä-Korean maanantaina, mutta siihen mennessä sen tuulet ovat laantuneet huippulukemistaan, sillä liikkuminen kylmien vesialueiden ja vuoristojen yli heikentää taifuunia.
Etelä-Koreaan saapuessaan Sanba on kuitenkin edelleen voimakas ja voi aiheuttaa rankkoja sateita ja isoja aallokoita.
Etelä-Koreasta taifuuni jatkaa pohjoiseen, Pohjois-Korean yli Kiinan ja Venäjän koillisosiin.
(MTV3)
