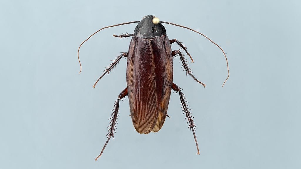
Yli kolmen senttimetrin pituinen torakka löytyi joulukuun alussa Oulun alueelta ja toimitettiin Oulun yliopiston yli-intendentti Marko Mutaselle, joka määritti yksilön Periplaneta fuliginosa -torakaksi – savutorakaksi.
Lajille ei vielä ole olemassa suomenkielistä nimeä. Englanniksi se on smokybrown cockroach, joten Mutanen kutsuu uutta tulokasta savutorakaksi. Kiiltävän tummanruskeaa torakkalajia ei tiettävästi ole aiemmin Suomesta todettu tai raportoitu.
Suomessa elää kaksi luonnonvaraista torakkalajia, minkä lisäksi sisätiloissa tavataan nykyään useimmiten russakkaa eli saksantorakkaa. Maailmalla ihmisen seuralaislajina elää useita suurikokoisia torakkalajeja, joista Suomestakin aika ajoin tavataan satunnaisyksilöitä, etenkin amerikan- eli sokeritorakasta.
Levittää astmaa ja allergioita
Savutorakka on sokeritorakan sukulainen, joka on paikoin maailmalla levinnyt ihmisasuntojen riesaksi. Varsinkin Japanissa, Australiassa, eteläisessä Pohjois-Amerikassa ja paikoin Etelä-Amerikassa savutorakka on levinnyt ihmisasumuksiin, joissa se viihtyy varsinkin niiden kosteimmissa ja lämpimimmissä osissa.
Muiden torakoiden tapaan sen ravinnoksi kelpaa hyvin monipuolisesti erilainen orgaaninen jäte, mukaan lukien ihmisravinto. Muiden torakoiden tavoin savutorakka lisää epähygieniaa, levittää tauteja ja aiheuttaa allergisia oireita ja astmaa, mutta niistä ei ole varsinaisesti haittaa rakennuksille.
Lue myös: Suomessa on määritelty kahden vuoden ajalta 2 000 uutta hyönteistä, osa voi muodostua tuholaisiksi - hyönteistutkija: "Melko häkellyttävää"
– Savutorakka ei näytä olevan haitallinen vieraslaji, sillä se ei uhkaa luonnonvaraista alkuperäislajistoa, mutta tuholaislajiksi sen voinee laskea, Mutanen arvioi.

